
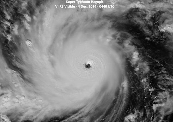
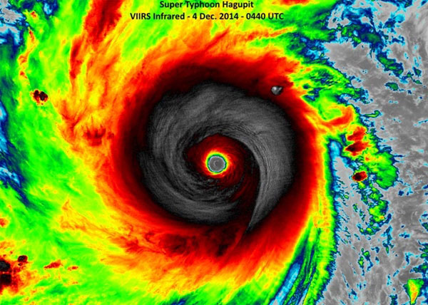
นัยน์ตาแห่งพายุฮากูปิต ถ่ายได้วันที่ 4 ธันวาคม
เรียบเรียงข้อมูลโดยกระปุกดอทคอมขอขอบคุณภาพประกอบจาก เฟซบุ๊ก Dost_pagasa , usno.navy.mil , nasa.gov
องค์การนาซาเผยภาพสวยงามที่น่าพรั่นพรึงของ นัยน์ตาแห่งพายุ (Eye of Strom) ของไต้ฝุ่นฮากูปิต (Hagupit) ขณะเป็นพายุระดับ 5 ม้วนรูปก้นหอยสีแดงที่มีอุโมงค์สีฟ้าตรงปลายอันเป็นผืนน้ำมหาสมุทรแฟซิฟิก เป็นภาพถ่ายจากดาวเทียมที่โคจรมาในมุมที่ได้รับกับใจกลางพายุพอดี
องค์การนาซาเผยภาพที่ถ่ายได้จากดาวเทียมนี้เมื่อวันที่ 4 ธันวาคม 2557 ขณะที่พายุไต้ฝุ่นฮากูปิตคงความแรงเป็นพายุระดับ 5 เคลื่อนที่ด้วยความเร็ว 290 กม./ชม. ซึ่งนับเป็นไต้ฝุ่นระดับ 5 ลูกที่ 4 ของภูมิภาพแปซิฟิกตะวันตก
ในวันที่ 5 ธันวาคมที่ผ่านมา ศูนย์ร่วมเตือนภัยไต้ฝุ่นของสหรัฐฯ พยากรณ์ว่า ใจกลางไต้ฝุ่นฮากูปิตที่แม้จะอ่อนกำลังลงเหลือความเร็ว 240 กม./ชม. เป็นพายุระดับ 4 จะเคลื่อนขึ้นฝั่งประเทศฟิลิปปินส์ที่เกาะซามาร์ (Samar) ภายในวันเสาร์หรืออาทิตย์นี้ โดยสำนักงานเพื่อจัดการและบรรเทาภัยธรรมชาติของฟิลิปปินส์ ได้พยากรณ์ว่าอิทธิพลจากไต้ฝุ่นฮากูปิตจะทำให้เกิดฝนตกหนัก 20 มม./ชม. และเกิดคลื่นพายุหมุนยกซัดฝั่งหรือ strom surge สูง 4.5 เมตร
ซึ่งล่าสุดตามรายงานจากสำนักข่าวซีเอ็นเอ็น วันที่ 7 ธันวาคม 2557 ไต้ฝุ่นฮากูปิต ได้เคลื่อนตัวถึงฝั่งทางเมืองกุยอวน (Guiuan) ทางตอนใต้ของเกาะซามาร์แล้วเมื่อคืนวันเสาร์ที่ผ่านมา (6 ธ.ค.) ด้วยความเร็วลม 205 กม./ชม. อ่อนกำลังลงจากเดิมเป็นไต้ฝุ่นระดับ 3 ทำให้เกิดฝนตกหนักแล้วและลมกระโชกแรงบนเกาะซามาร์และเกาะเลย์เต
โดยเส้นทางไต้ฝุ่นนับจากนี้คาดว่าจะพัดต่อไปทางตะวันตก-ตะวันตกเฉียงเหนือ พัดต่อขึ้นเกาะมาสบาเต (Masbate) ของฟิลิปปินส์ในวันนี้ โดยคาดว่าจะอ่อนกำลังลงอีกเมื่อได้พัดเข้าแผ่นดิน และจะผ่านพ้นประเทศฟิลิปปินส์ไปในวันอังคารที่จะถึงนี้

พายุฮากูปิตวันที่ 4 ธันวาคม

พายุฮากูปิตวันที่ 4 ธันวาคม แบบอินฟราเรด

ทิศทางคาดการณ์ของพายุฮากูปิต






